Genel Bilgiler
Emlak Numarası: GRE343360
- Arsa & Arazi
- 343360
- 4804 m²
- 4804 m²
Detaylı Bilgi
Tarihinde güncellendi Mart 8, 2026 en 9:13 pm-
Emlak Numarası GRE343360
-
Fiyat 3,500,000$
-
Kullanım Alanı 4804 m²
-
Toplam Alan 4804 m²
-
İlan Türü Arsa & Arazi
-
İlan Türü Satılık
Açıklama
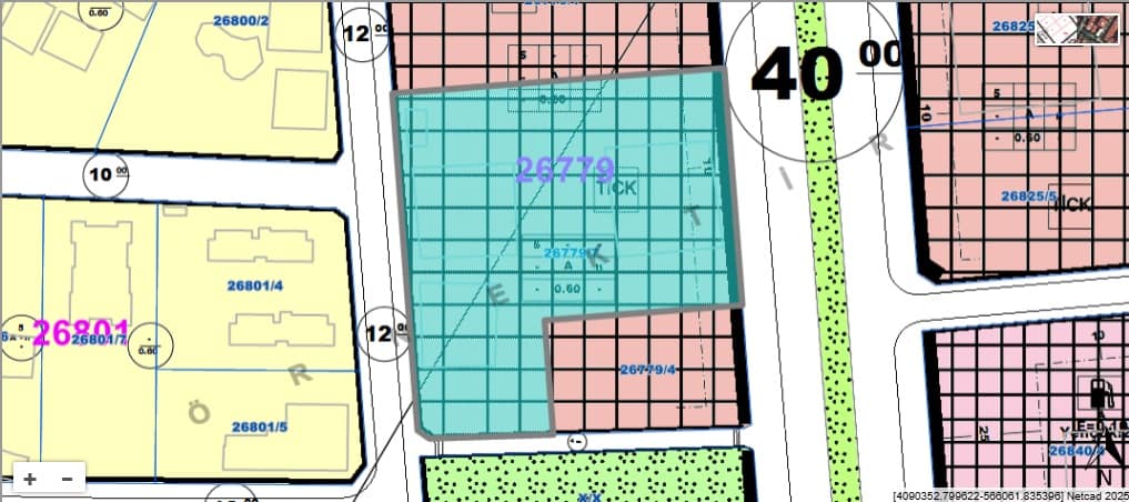
Antalya Kepez Hüsnü Karakaş Mahallesi’nde Yatırımlık 4.804 m² Arsa / Ticari + Konut İmarlı
Antalya’nın hızla değer kazanan bölgelerinden Kepez Hüsnü Karakaş Mahallesi’nde, Kırçiçeği Caddesi’ne cepheli 4.804 m² ticari + konut imarlı arsamız satışa sunulmuştur.
Konum Avantajları
- Arsamız bölgenin en önemli bulvarı olan Kırçiçeği Caddesi’ne cephelidir.
- Kırçiçeği Caddesi’ne paralel 53,4 m cephe, 74,8 m derinlik ölçülerine sahiptir.
- 3 cephesi yola bakmakta olup ticari ve konut projeleri için ideal bir lokasyondadır.
- Bölge; sosyal yaşam alanlarının, lüks konsept sitelerin ve yüksek inşaat kalitesine sahip projelerin merkezi haline gelmiştir.
️ İmar Bilgileri ve Mimari Çalışma
- İmar durumu: Ticari + Konut
- Kaks: 0,60
- Taks: 0,40
- Mevcut mimari çalışmaya göre proje:
- 53 adet 1+1 daire (brüt 62,5 m²)
- 14 adet 1+1 daire (brüt 68,5 m²)
- 2 adet cadde dükkanı (giriş 140 m² + asma kat 87 m²)
- 1 adet 70 m² kapıcı dairesi planlanmıştır.
Yatırım Değeri
- Cadde üzeri dükkanlar, artan nüfus yoğunluğu sayesinde bölgenin ticaret merkezi haline gelmektedir.
- Yeni yapılan konsept siteler, hem daire fiyatlarının hem de arsa değerlerinin her geçen gün artmasını sağlamaktadır.
- Yatırıma uygun, değer artış potansiyeli yüksek bir lokasyonda geleceğe güvenli yatırım fırsatı.
Detaylı bilgi ve yerinde inceleme için iletişime geçiniz.
Özellikler
ALT YAPI ÖZELLİKLERİ
Adres
Haritada Göster-
Adres: Hüsnü Karakaş, Kepez/Antalya, Türkiye
-
Şehir: Kepez
-
İl: Antalya
-
Bölge: hüsnü karakaş
-
Ülke: Türkiye













